Get new listings emailed daily! JOIN SIGN IN
Herb Prandl
REALTOR®
(208) 989-5730

Tbd Good Lane, New Plymouth, ID 83655

$354,900
  • Tbd Good Lane, New Plymouth, ID 83655 Main Photo

1 Total Photos [Click to View All]

New to the Market Back on Market

Listing Courtesy of: John L Scott Boise
Agency Phone: 208-323-4000
IDX logo


LOT SIZE 1.170 acres MLS#98980244
STATUSBack on Market PROPERTY TYPELand - Residential SUBDIVISION0 Not Applic SCHOOLNew Plymouth School District #372

Listing Courtesy of: John L Scott Boise
Agency Phone: 208-323-4000
IDX logo


Property Description

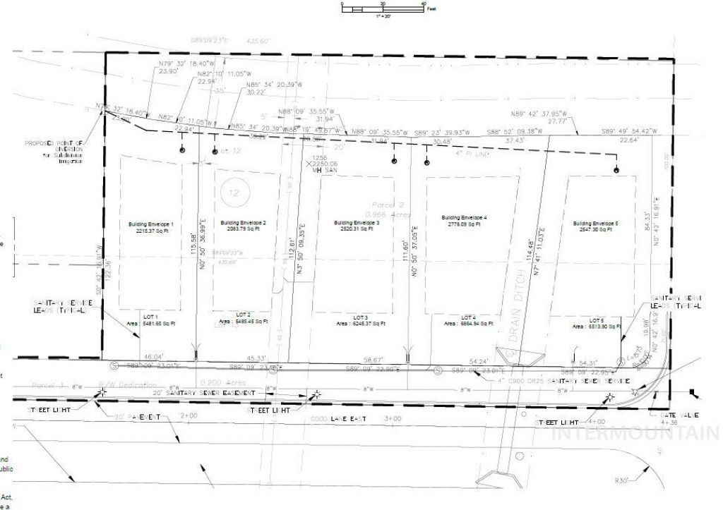
Small subdivision approved! This surveyed high density property is zoned SF Residential, Duplex, Condo, and Multi-Family. If you are looking for potential investment opportunities this might be the property for you! Permitted for row houses, two single family dwellings, nursing home, apartments and more. Survey attached is a preliminary approved plat offering five lots. City road improvements in 2021 to include fire safety turn around. Property also includes one acre of water rights with Noble Ditch Irrigation Company with a recorded easement. All city services nearby at the end of East Blvd. New Plymouth has excellentschool ratings and a small rural community. High School in close distance as well as City common area.

Tbd Good Lane | MLS# 98980244

This land located at Tbd Good Lane, New Plymouth, ID 83655 is currently listed for sale with an asking price of $354,900. The property has approximately 1.17 Acres. Tbd Good Lane is located within the New Plymouth School District #372 school district. Search New Plymouth real estate on www.herbsidahomes.com today.

Property Features

Property Type: Land - Residential
Lot Size: 1.17 Acres
Taxes: $1,899

Feature Descriptions

Fencing: None
Parcel#: N5480012012B
Sewer: Sewer-Exist
Utilities: Electricity Available, Natural Gas Not Available
Water: City Service
Zoning: SF, Multi-Family, Duplex

Local Schools

High School: New Plymouth
Middle School: N Plymouth
Elementary School: N Plymouth
School District: New Plymouth School District #372

Listed By / Shown By

Listed By

Agency Name: John L Scott Boise
Agency Phone: 208-323-4000

Shown By

Agent Name: Herb Prandl
Agent Phone: (208) 989-5730
Agency Title: Coldwell Banker Tomlinson

IDX logo

Estimate Your Payment

Estimated Payment

$ 2,150.69 per month $1,888.93 Principal & Interest $158.25 Property Tax $103.51 Homeowner's Insurance

Change Payment Information

%
years/fixed
yearly
yearly (est.)
(Payments are an estimate and may vary by lender)
Disclaimer: All information deemed reliable but not guaranteed. All properties are subject to prior sale, change or withdrawal. Neither listing broker(s) or information provider(s) shall be responsible for any typographical errors, misinformation, misprints and shall be held totally harmless. Listing(s) information is provided for consumers personal, non-commercial use and may not be used for any purpose other than to identify prospective properties consumers may be interested in purchasing. Information on this site was last updated 04/02/2026. The listing information on this page last changed on 04/02/2026. The data relating to real estate for sale on this website comes in part from the Internet Data Exchange program of Delta Media Group MLS (last updated Thu 04/02/2026 12:02:03 AM EST) or INTERMOUNTAIN MLS (last updated Wed 04/01/2026 11:32:34 PM EST). Real estate listings held by brokerage firms other than Coldwell Banker Tomlinson may be marked with the Internet Data Exchange logo and detailed information about those properties will include the name of the listing broker(s) when required by the MLS. All rights reserved.

IDX logo
Listings marked with this symbol provided by the Intermountain Multiple Listing Service

IDX information is provided exclusively for consumers' personal, non-commercial use, it may not be used for any purpose other than to identify prospective properties consumers may be interested in purchasing. IMLS does not assume any liability for missing or inaccurate data. Information provided by IMLS is deemed reliable but not guaranteed

Privacy Policy / DMCA Notice / ADA Accessibility

Login to My Homefinder

Pixel